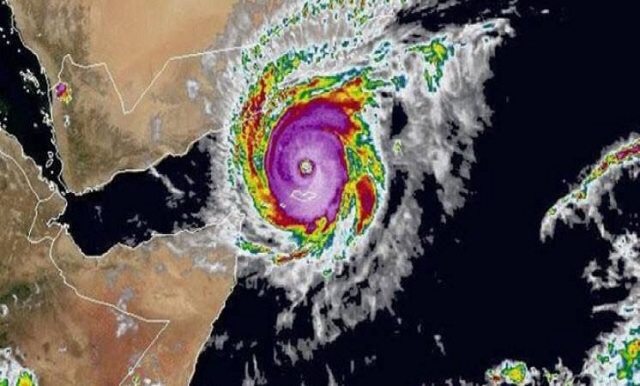
(الحدث الجنوبية) موقع ArabiaWeather.com- عمر الدجاني – تُشير بيانات وخرائط نماذج التنبؤات العددية المُشغلة لدى “طقس العرب” إلى استمرار تواجُد الحالة المدارية “ميغ” المُصنفة حاليّاً كإعصار من الدرجة الأولى في منطقة بحر العرب، مع توقعات بتحركه نحو الغرب ليؤثر بشكل مباشر على جزيرة سقطرى اليمنية يوم الأحد.
ومن المُتوقع أن يعبُر مركز الإعصار “ميغ” فوق جزيرة سقطرى يوم الأحد، ما سيتسبب في هُطول أمطار شديدة الغزارة تُقدر كمياتها ما بين 150-200 ملم، إضافة إلى هبوب رياح شديدة تتراوح سرعتها ما بين 120-150 كم/ساعة، وارتفاع الأمواج بشكل كبير إلى ما يزيد عن 5 امتار على سواحل جزيرة سقطرى، إلى ارتفاع مستوى البحر إلى ما بين متر إلى مترين عن مستواه الطبيعي، ما قد يؤدي لنتائج كارثية ودمار واسع بالجزيرة.
ويُتوقع أن يتحرّك الإعصار يوم الإثنين غرباً ليلامس أجزاء من شمال الصومال،جالباً الأمطار الشديدة والسيول، ورياح وأمواج عاتية، على أن يتحرك الإعصار نحو السواحل اليمنية يوم الثلاثاء نحو مُحافظات حضرموت وشبوة وأبين.
ويُعتبر هذه الإعصار هو ثاني إعصار يضرب المنطقة خلال هذا الأسبوع ما يُمثّل ظاهرة غير اعتيادية في المنطقة، وذلك بعد إعصار شابالا الذي تسبب في مقتل 8 أشخاص في اليمن على الأقل.
ويُهيب موقع “طقس العرب” بالإخوة سُكّان سقطرى وشمال الصومال، والمناطق الجنوبية من اليمن أخذ أقصى درجات الحيطة والحذر، والإنتقال نحو مناطق آمنة، وذلك بالابتعاد عن البحر والسواحل، ومجاري السيول والأودية.




